Du befindest dich hier:
Startseite » Themen » Stadtplanung und Verkehr » Wie lange steht Monheim noch im Stau?

Dienstag, den 29. Mai 2018 | Pressemitteilung

Wie lange steht Monheim noch im Stau?

PETO30plus lädt für den 5. Juni zu einem Themenabend über den Umbau der Opladener Straße ein

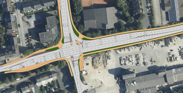
Die Opladener Straße ist aktuell vor allem zu Zeiten des Berufsverkehrs erheblich überlastet. Daher plant die Stadt bis 2022 die Kapazität der Straße deutlich zu erweitern.

Wie die Pläne konkret aussehen, das will PETO30plus unter Beteiligung von Bürgermeister Daniel Zimmermann mit allen interessierten Bürgerinnen und Bürgern diskutieren. PETO30plus lädt deshalb zu einem Themenabend am Dienstag, den 5. Juni um 19:00 Uhr in das Rheincafé (Altstadt Monheim, Turmstraße 21) ein.

 

Ähnliche Texte...

06.10.2016 | Pressemitteilung

PETO30plus!-Themenabend zum Schulstandort Lottenstraße/Krischerstraße

Von einigen sehnlichst herbeigewünscht, von anderen als unvorstellbar abgelehnt – die Lottenschule wie auch Astrid-Lindgren-Schule sollen abgerissen werden und moderne Schulbauten entstehen. Welche Gründe es für diese Planungen gibt, was genau wo und wie entstehen soll, darüber informiert ein öffentlicher PETO30plus!-Themenabend mit Bürgermeister Daniel Zimmermann und dem Bereichsleiter des städtischen Gebäude- und Liegenschaftsmanagements Michael Lobe am Dienstag, 11...

weiterlesen...

11.09.2015 | Pressemitteilung

PETO30plus!-Themenabend „Umgestaltung Altstadtplätze“

Die Pläne für eine optische Aufwertung der beiden Altstadtplätze Kradepohl und Alter Markt sollen sowohl mehr Aufenthaltsqualität für Besucher und Gäste der Gastronomie als auch eine höhere Attraktivität für Fußgänger und Radfahrer schaffen...

weiterlesen...

24.05.2015 | PETO-Blatt-Artikel

Entlastung für die Opladener Straße

„Nord-Süd-Spange“ soll Verkehr Richtung Süden aufnehmen

Die täglichen Rückstaus auf der Opladener Straße sollen bald der Vergangenheit angehören. Die Mitglieder des städtischen Planungsausschusses billigten dazu die Ergebnisse eines Verkehrsgutachtens und beauftragten die Stadtverwaltung mit weiteren Ausarbeitungen für eine neue Verbindungsstraße Richtung Süden...

weiterlesen...

© 2026 PETO